Skip to content
Weather Updates 24/7 by Meteorologist joe cioffi

Weather Updates 24/7 by Meteorologist joe cioffi

Weather Blog

  • About
    • Joestradamus
  • LONG ISLAND
  • GFS Model
  • Forecasts
    • Joe’s Forecast
    • New York
    • New Jersey
    • Connecticut
    • Philadelphia
    • SouthEast Pennsylvania
    • South-Central Pennsylvania
    • NorthEast Pennsylvania
  • Winter
    • Snow Forecasts
    • Joe’s Snow Forecast
  • EURO Model
  • Severe Wx
  • Marine Outlook
  • Tropics

Category: hurricane season 2018

Dorian Becomes a Hurricane 75 MPH Winds Risk Grows for Florida SE US

August 28, 2019 joseph dorian, hurricane, hurricane season 2018

Dorian Becomes a Hurricane 75 MPH Winds Risk Grows for Florida SE US   Satellite, radar, and surface observations this

Continue reading
chilly

Chilly Weather Weekend Storm System

October 22, 2018 joseph hurricane, hurricane season 2018, Joestradamus, long range forecast, rain, snow

CHILLY CANADIAN AIR MID TO LATE WEEK STORM SYSTEM FOR THE WEEKEND STILL IN FLUX We didn’t expect much clarity

Continue reading

Historic Hurricane Michael Makes Landfall Heavy Rains East Coast

October 10, 2018 joseph CT, hurricane, hurricane season 2018, Joe's Forecast, Long Island, NY, Pennsylvania, PHL, rain, SCPA, SEPA, SNJ, thunderstorms

HISTORIC HURRICANE MICHAEL MAKES LANDFALL 155 MPH WINDS 915 MB MASS DESTRUCTION STORM SURGE HEAVY RAINS NOW HEADING UP THE

Continue reading
hurricane michael

Hurricane Michael 145 MPH Category 4 Panama City Landfall

October 10, 2018 joseph hurricane, hurricane season 2018

HURRICANE MICHAEL CONTINUES TO STRENGTHEN CATEGORY 4 145 MPH LANDFALL THIS AFTERNOON/EARLY EVENING NEAR  OR JUST EAST OF PANAMA CITY

Continue reading
michael

Heavy Downpours Thursday Michael Passes Offshore Pattern Changes

October 10, 2018 joseph autumn, CT, GFS, hurricane, hurricane season 2018, Joe's Forecast, Joestradamus, Long Island, NJ, NY, Pennsylvania, PHL, rain, SCPA, SEPA, SNJ

WARM HUMID CONDITIONS INTO THURSDAY HEAVY DOWNPOURS THURSDAY WITH COLD FRONT MICHAEL WILL PASS SOUTHEAST OF NJ LONG ISLAND FRIDAY

Continue reading
hurricane michael

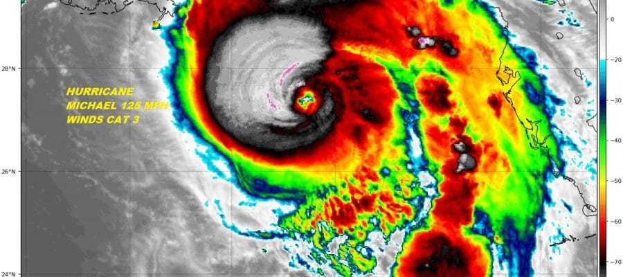
Hurricane Michael 125 MPH Winds Category Strengthening Rapidly

October 9, 2018 joseph flooding, hurricane, hurricane season 2018

HURRICANE MICHAEL CONTINUES TO STRENGTHEN COULD REACH CATEGORY 4 BY MORNING LANDFALL WEDNESDAY AFTERNOON EVENING CENTRAL FLORIDA PANHANDLE Hurricane Michael

Continue reading

Posts pagination

1 2 3 … 16 Next Posts»

Northeast Weather

Recent Posts: NYC WEATHER NOW

NYC November-Like Weekend in April

NYC November-Like Weekend in April

SUPPORT THE FREE APP. SHOP AMAZON, JUST USE THE SEARCH BAR BUY WHAT YOU WANT! COUPON CODE SUMMER24 GET 10%

Download App For All Devices

snow ice rain

DOWNLOAD FREE APP FOR ALL DEVICES

TOP 100 WEATHER BLOGS ON THE PLANET!

Weather Blogs
Advertise Meteorologist Joe Cioffi
WordPress Theme: Tortuga by ThemeZee.
Weather Updates 24/7 by Meteorologist joe cioffi
Proudly powered by WordPress Theme: Tortuga.